بیش از 60000 کانادایی در معرض خطر یک طوفان بزرگ و ویرانگر در آسیا هستند
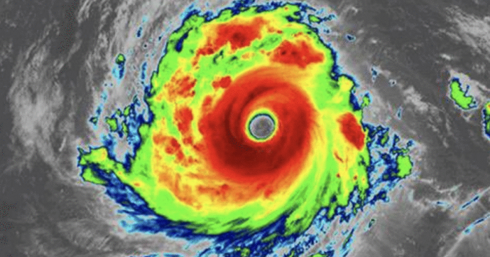
طوفان بزرگ "ترامی" در راه است.
هفته گذشته، شرق آسیا توسط طوفانی کشنده، که از سمت فیلیپین و سایر نقاط آسیا حرکت می کرد، درنوردیده شد. این طوفان باعث ویرانی خانه ها، ایجاد انفجار، و مرگ غم انگیز هزاران تن شد.

در حال حاضر یک طوفان عظیم دیگر به سمت این منطقه هدایت می شود. طوفان بزرگ ترامی در این هفته به سمت تایوان، ژاپن و احتمالا کشورهای دیگر در حرکت است، و شماری از کانادایی ها درست در مسیر طوفان هستند.
طوفان سهمگین ترامی این هفته در اقیانوس آرام چرخید. سرعت این طوفان امروز صبح با وزش باد بیش از 240 کیلومتر/ساعت افزایش یافته است. این طوفان قبلا از نظر سرعت در رده 4 بود. انتظار میرود که این ترامی تا قبل از رسیدن به تایوان و ژاپن به رده 5 برسد.
در حالی که مسیر دقیق طوفان هنوز ناشناخته است، انتظار می رود که تایوان را زیرو رو کند، که طبق گفته دولت، در حال حاضر بیش از 60000 کانادایی در آنجا زندگی می کنند، و آنها دقیقا در مسیر طوفان ترامی قرار میگیرند.
ترامی سومین طوفان عظیمی است که این ماه در این منطقه رخ داده است. در ماه سپتامبر، طوفان Jebli باد شدیدی به ژاپن زد، که منجر به لغو پروازهای برگشت به ونکوور و جاری شدن سیل در کشور شد.
اخیرا نیز، طوفان Mangkhut فیلیپین را ویران کرد، و همچنین از هنگ کنگ عبور کرد، به بالای پنجره ها در ساختمان های بلند رسید و باعث ویرانی شهر شد. هواشناسان پیش بینی کرده اند که طوفان بزرگ ترامی نیز به منطقه آسیب میزند.
دولت کانادا هشدار نمیدهد که کاناداییها از سفر به این منطقه اجتناب کنند، اما به کشورهای آسیایی توصیه کرده اند که به کانادایی ها هشدار دهند در طول فصل طوفان احتیاط بیشتری داشته باشند.
تغییرات مهیج پارک تفریحی سرزمین عجایب کانادا برای کریسمس
سرزمین عجایب کانادا از برگزاری فستیوال زمستانه (WinterFest) و ساخت یک ترن آبی- هوایی جدید با نام Yukon Striker در سال 2019 خبر داده و اعلام داشت که برای اولین بار در ماه های نوامبر و دسامبر شاهد بازگشایی این پارک خواهیم بود. هم اکنون بلیط های این فصل با قیمت 72.99 دلار در دسترس بوده و حتی میتوانید بلیط طلایی با قیمت 72.99 دلار تهیه کنید که به شما اجازه استفاده از وسایل تفریحی و همچنین ورود به جشن زمستانه و Halloween Haunt را می دهد.

Yukon Striker
سرزمین عجایب کانادا از آن به عنوان طولانی ترین، سریع ترین و بلند ترین ترن در جهان یاد کرده که دارای چندین سراشیبی با شیب هایی حدود 90 درجه بوده و بنابر آن علاقه مندان حسی شبیه به سقوط آزاد را تجربه خواهند کرد، به طوری که ابتدا در ارتفاع توقف کرده و پس از سقوط سرعت آن به 130 کیلومتر در ساعت رسیده و در انتها نیز از تونلی زیر آبی گذر خواهد کرد. این ترن مناسب افراد با بیماری قلبی نمی باشد.
WinterFest
چنانچه تا به حال خواهان بازگشایی این پارک در اواخر سال بوده اید، باید گفت که در سال 2019 به این ارزوی خود رسیده و قادر خواهید بود پس از هالووین تعطیلاتی لذت بخش را در ماه های نوامبر و دسامبر تجربه کنید. در این فصل پارک با درختان کریسمس و چراغانی های متعدد پوشیده شده و اجراهای زنده و خیلی چیزهای مهیج دیگر برایتان آماده گشته و حتی قادر خواهید بود در میدان آبنمای International Street که در این فصل یخ زده و به دریاچه Snowflake تغییر نام می دهد، اسکیت بازی کنید.